A doença de Chagas é uma infecção causada pelo parasita Trypanosoma cruzi. Ela pode afetar o coração, o sistema digestivo e outros órgãos se não for tratada a tempo. A boa notícia é que, quanto mais cedo for descoberta, maiores são as chances de controle e tratamento!
Importante:
- Não é contagiosa (não passa de pessoa para pessoa).
- Pode ser silenciosa por anos, mas tem tratamento gratuito no SUS.
COMO A DOENÇA É TRANSMITIDA?
Vetorial – A transmissão se dá pelas fezes que o barbeiro deposita sobre a pele da pessoa enquanto suga o sangue. Geralmente, a picada provoca coceira, e o ato de coçar facilita a penetração do T. cruzi pelo local da picada.
Vertical ou Congênita – Ocorre pela passagem de parasitos das mães infectadas pelo T. cruzi para seus bebês durante a gestação ou parto.
Transfusional – Transfusão de sangue, caso o doador seja portador da doença. Porém, no Brasil tem alcançado impacto significativo no controle dessa transmissão, devido aos cuidados no controle dos serviços de hemoterapia.
Oral – Manipulação e ingestão de alimentos in natura contaminados com o triatomíneo infectado ou suas fezes, como açaí, caldo de cana e carne crua ou malcozida de animais que possam também estar infectados.
Acidental – Pelo contato da pele ferida ou de mucosas com material contaminado durante manipulação em laboratório ou na manipulação de carne de caça.
QUAIS SÃO OS SINTOMAS?
Fase Aguda – Principalmente por febre, mal-estar, falta de apetite, edemas (inchaço) localizados na pálpebra e pode apresentar distúrbios cardíacos. Frequentemente, nesta fase, não há qualquer manifestação da doença, podendo passar despercebida.
Fase Crônica – Na maioria dos pacientes podem passar toda a sua vida, sem apresentar nenhuma manifestação da doença, mesmo que sejam portadores do T.cruzi. Porém em alguns casos, a doença pode comprometer o coração e o aparelho digestivo.
COMO SE PREVENIR?
- Melhore sua casa: Reboque paredes, telhados e feche frestas para evitar a entrada do barbeiro.
- Use mosquiteiros em áreas de risco.
- Lave bem frutas e verduras e evite alimentos de origem desconhecida.
- Denuncie a presença do barbeiro: Avise a Secretaria de Saúde do seu município se encontrar o inseto.
MINAS GERAIS NO COMBATE À DOENÇA DE CHAGAS
O Governo de Minas Gerais, através da Secretaria de Estado de Saúde (SES-MG) e da Fundação Ezequiel de Araújo (Funed), tem um papel fundamental no controle e prevenção da doença de Chagas. A SES-MG realiza ações de vigilância epidemiológica, controle químico de vetores e distribuição de medicamentos, enquanto a Funed realiza diagnósticos e pesquisas sobre a doença.
Ações do Governo de Minas:
Vigilância Epidemiológica: A SES-MG monitora a ocorrência da doença em diferentes regiões de Minas, identificando casos agudos, crônicos e congênitos.
Controle Químico de Vetores: A SES-MG realiza a solicitação e distribuição de inseticidas para controle do barbeiro, principal transmissor da doença.
Diagnóstico e Tratamento: A Funed realiza diagnósticos e oferece tratamento gratuito com benznidazol e nifurtimox, medicamentos para tratamento da doença.
Pesquisa: A Funed realiza pesquisas sobre a doença, incluindo estudos sobre diagnóstico rápido, tratamento e prevenção.
Parcerias: O governo de Minas colabora com outras instituições, como a Fiocruz, em projetos como o CUIDA Chagas, que visa avançar no controle da doença e melhorar a qualidade de vida das pessoas acometidas.
TRATAMENTO NO SUS
Tem cura? Sim! Na fase aguda, o tratamento com medicamentos é altamente eficaz. Mesmo na fase crônica, o acompanhamento médico melhora a qualidade de vida.
O que fazer?
- Procure a unidade de saúde mais próxima se tiver sintomas ou morar em área de risco.
- Faça os exames de sangue indicados.
- Siga o tratamento direitinho!
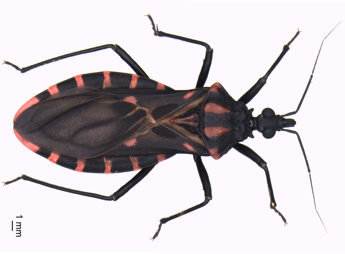
ESPÉCIES MAIS COMUNS NO ESTADO

Panstrongylus megistus
(Burmeister, 1835)
Saiba mais

Triatoma sordida
(Stål, 1859)
Saiba mais

Triatoma vitticeps
(Stål, 1859)
Saiba mais

Rhodnius neglectus
(Lent, 1954)
Saiba mais
FIQUE ALERTA
Suspeitou? Agiu!
- Telefone útil: Ligue para o Disque Saúde (136) ou entre em contato com a Secretaria Municipal de Saúde.
- Atenção gestantes: Faça o teste pré-natal para proteger seu bebê.
Juntos podemos vencer a doença de Chagas!
PERGUNTAS FREQUENTES
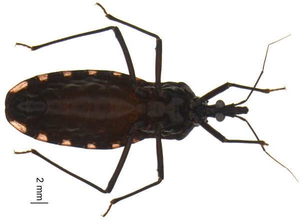
Como identificar o barbeiro?
Ele é marrom, tem listras claras nas bordas do corpo e mede até 2 cm. Não confunda com outros insetos inofensivos!
Posso pegar Chagas pelo beijo?
Não! A doença não é transmitida por abraços, beijos ou relações sexuais.